The Jackson Chronicle

Back to Home

Woodstock Greenlights Major Mixed-Use Development on Main Street

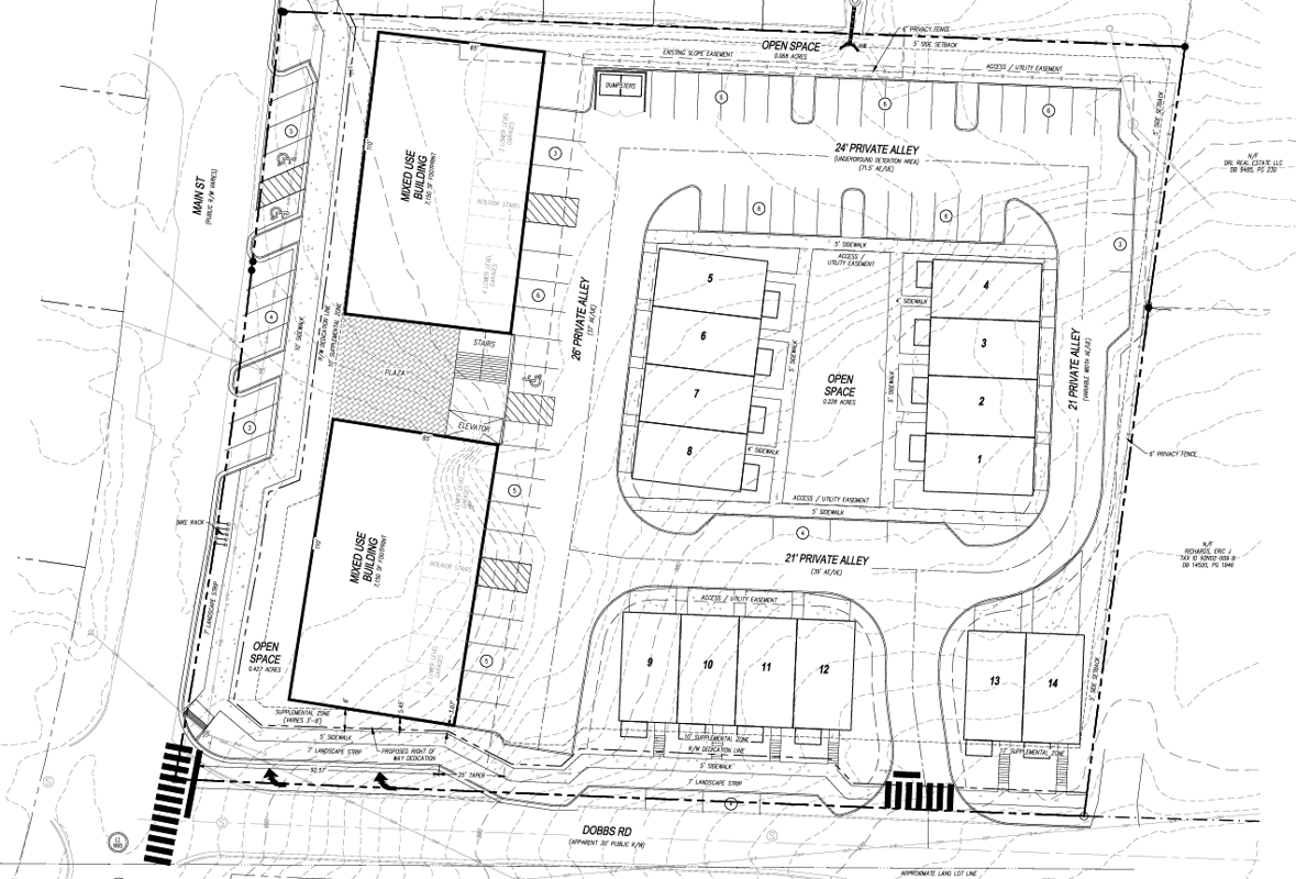
Site Plan

February 13, 2025

Woodstock’s city council has approved a 14,300-square-foot mixed-use development at Dobbs Road and Main Street, a decision that has sparked both support and opposition within the community.

The project, led by developer Dinesh Vudutha, will include commercial spaces, 24 condominiums, and 14 townhomes, creating a modern, walkable district in downtown Woodstock. The condominiums will be built above the commercial storefronts, while the townhomes will be located behind the mixed-use buildings.

The 3-2 vote saw Mayor Michael Caldwell breaking the tie, following the absence of Councilman David Potts.

Side Elevation Rendering

Community Response: Divided Views on Growth & Traffic

Supporters see it as an opportunity to boost Woodstock’s economic growth, while opponents argue that the density and traffic impact could strain the city’s infrastructure.

Joe Lorenz, a resident leading opposition, said, "We oppose the height, the density, and the overall design of the project. It doesn’t align with Woodstock’s character."

On the other hand, local business owner Ben Thornton believes the project will be a positive addition, stating, "This is an opportunity. The city is evolving, and I like the direction it’s heading."

Front Elevation Rendering

Key Development Features & Conditions

Aerial Rendering

Next Steps

With approval secured, developers plan to move forward with construction, aiming to complete the project within the next two years. However, with strong public opinion on both sides, future council meetings may see continued discussion on the city’s growth strategy and infrastructure planning.